1. 5othBirthdag box 39/1
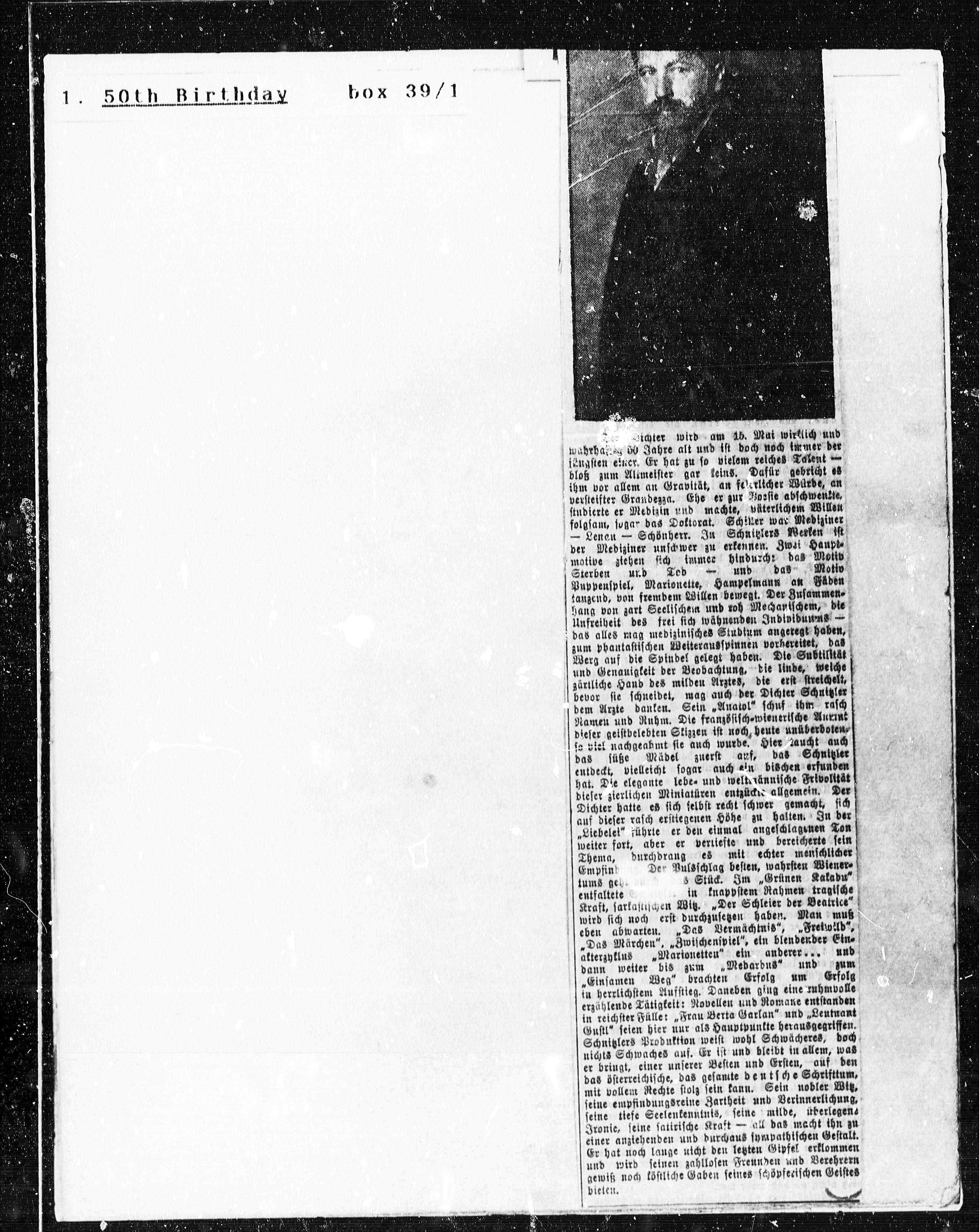
Fichter wird am 15. Mai wirklich und
8
wahrha### 50 Jahre alt und ist doch noch immer der
jängsten einer. Er hat zu so vielem reiches Talent —
bloß zum Altmeister gar keins. Dafür gebricht es
ihm vor allem an Gravität, an felerlicher Würde, an
versteifter Grandezza. Ehe er zur Voesie abschwenkte,
studierte er Medizin und machte, väterlichem Willen
folgsam, sogar das Doktorat. Schiller war Mediziner
Lenau — Schönherr. In Schnitzlers Werken ist
der Mediziner unschwer zu erkennen. Zwei Haupt¬
motive ziehen sich immer hindurcht das Motiv
das Motiv
und
Sterben und Tod
Puppenspiel, Marionette, Hampelmann an Fäden
tanzend, von fremdem Willen bewegt. Der Zusammen¬
hang von zart Seelischem und roh Mechanischem, die
Unfreiheit des frei sich wähnenden Individumms —
das alles mag medizinisches Studium angeregt haben,
zum phantastischen Weiterausspinnen vorhereitet, das
Werg auf die Spindel gelegt haben. Die Subtilität:
und Genauigkeit der Beobachtung, die linde, welche
zärtliche Hand des milden Arztes, die erst streichelt,
bevor sie schneidet, mag auch der Dichter Schnitzler
dem Arzte danken. Sein „Anatol“ schuf ihm rasch
Namen und Ruhm. Die französisch=wienerische Aurint
dieser geistbelebten Skizzen ist noch, heute unüberboten¬
so viel nachgeahmt sie auch wurde. Hier taucht auch
s Schnitzler
das süße Mädel zuerst auf,
entdeckt, vielleicht sogar auch ein bischen erfunden
hat. Die elegante lebe= und welterännische Frivolität!
dieser zierlichen Miniatüren entzückte allgemein. Der
Dichter hatte es sich selbst recht schwer gemacht, sich
auf dieser rasch erstiegenen Höhe zu halten. In ber
„Liebelel“ führte er den einmal angeschlagenen Ton
weiter fort, aber er verliefte und bereicherte sein
mit echter menschlicher!
Thema, durchdrang es
Der Pulsschlag besten, wahrsten Wiener¬
Empfin
Stück. Im „Grünen Kakadu“
tums gel
in knappstem Rahmen tragische
entfaltete
Kraft, sarkastischen Witz. „Der Schleier der Beatrice“:
wird sich noch erst durchzusetzen haben. Man muß
eben abwarten. „Das Vermächtnis", „Freiwild“,
„Das Märchen", „Zwischenspiel“, ein blendender Ein¬
akterzyklus „Marionetten“ ein anderer... und
dann weiter bis zum „Medardus“ und zum
„Einsamen Weg“ brachten Erfolg um Erfolg
in herrlichstem Aufstieg. Daneben ging eine ruhmvolle
erzählende Tätigkeit: Novellen und Romane entstanden
in reichster Fülle: „Frau Berta Garlan“ und „Leutnant
Gustl“ seien hier nur als Hauptpunkte herausgegriffen.
Schnitzlers Produktion weist wohl Schwächeres, doch
nichts Schwaches auf. Er ist und bleibt in allem, was
er bringt, einer unserer Besten und Ersten, auf den
das österreichische, das gesamte deutsche Schrifttum,
mit vollem Rechte stolz sein kann. Sein nobler Witz,
seine empfindungsreine Zartheit und Verinnerlichung,
seine tiefe Seelenkenntuis, seine milde, überlegen¬
Ironie, seine satirische Kraft — all das macht ihn zu
einer anziehenden und durchaus sympathischen Gestalt.
Er hat noch lange nicht den letzten Gipfel erklommen
und wird seinen zahllosen Freunden und Verehrern
gewiß noch köstliche Gaben seines schöpferischen Geistes
bieten.
Fichter wird am 15. Mai wirklich und
8
wahrha### 50 Jahre alt und ist doch noch immer der
jängsten einer. Er hat zu so vielem reiches Talent —
bloß zum Altmeister gar keins. Dafür gebricht es
ihm vor allem an Gravität, an felerlicher Würde, an
versteifter Grandezza. Ehe er zur Voesie abschwenkte,
studierte er Medizin und machte, väterlichem Willen
folgsam, sogar das Doktorat. Schiller war Mediziner
Lenau — Schönherr. In Schnitzlers Werken ist
der Mediziner unschwer zu erkennen. Zwei Haupt¬
motive ziehen sich immer hindurcht das Motiv
das Motiv
und
Sterben und Tod
Puppenspiel, Marionette, Hampelmann an Fäden
tanzend, von fremdem Willen bewegt. Der Zusammen¬
hang von zart Seelischem und roh Mechanischem, die
Unfreiheit des frei sich wähnenden Individumms —
das alles mag medizinisches Studium angeregt haben,
zum phantastischen Weiterausspinnen vorhereitet, das
Werg auf die Spindel gelegt haben. Die Subtilität:
und Genauigkeit der Beobachtung, die linde, welche
zärtliche Hand des milden Arztes, die erst streichelt,
bevor sie schneidet, mag auch der Dichter Schnitzler
dem Arzte danken. Sein „Anatol“ schuf ihm rasch
Namen und Ruhm. Die französisch=wienerische Aurint
dieser geistbelebten Skizzen ist noch, heute unüberboten¬
so viel nachgeahmt sie auch wurde. Hier taucht auch
s Schnitzler
das süße Mädel zuerst auf,
entdeckt, vielleicht sogar auch ein bischen erfunden
hat. Die elegante lebe= und welterännische Frivolität!
dieser zierlichen Miniatüren entzückte allgemein. Der
Dichter hatte es sich selbst recht schwer gemacht, sich
auf dieser rasch erstiegenen Höhe zu halten. In ber
„Liebelel“ führte er den einmal angeschlagenen Ton
weiter fort, aber er verliefte und bereicherte sein
mit echter menschlicher!
Thema, durchdrang es
Der Pulsschlag besten, wahrsten Wiener¬
Empfin
Stück. Im „Grünen Kakadu“
tums gel
in knappstem Rahmen tragische
entfaltete
Kraft, sarkastischen Witz. „Der Schleier der Beatrice“:
wird sich noch erst durchzusetzen haben. Man muß
eben abwarten. „Das Vermächtnis", „Freiwild“,
„Das Märchen", „Zwischenspiel“, ein blendender Ein¬
akterzyklus „Marionetten“ ein anderer... und
dann weiter bis zum „Medardus“ und zum
„Einsamen Weg“ brachten Erfolg um Erfolg
in herrlichstem Aufstieg. Daneben ging eine ruhmvolle
erzählende Tätigkeit: Novellen und Romane entstanden
in reichster Fülle: „Frau Berta Garlan“ und „Leutnant
Gustl“ seien hier nur als Hauptpunkte herausgegriffen.
Schnitzlers Produktion weist wohl Schwächeres, doch
nichts Schwaches auf. Er ist und bleibt in allem, was
er bringt, einer unserer Besten und Ersten, auf den
das österreichische, das gesamte deutsche Schrifttum,
mit vollem Rechte stolz sein kann. Sein nobler Witz,
seine empfindungsreine Zartheit und Verinnerlichung,
seine tiefe Seelenkenntuis, seine milde, überlegen¬
Ironie, seine satirische Kraft — all das macht ihn zu
einer anziehenden und durchaus sympathischen Gestalt.
Er hat noch lange nicht den letzten Gipfel erklommen
und wird seinen zahllosen Freunden und Verehrern
gewiß noch köstliche Gaben seines schöpferischen Geistes
bieten.